La era de los huracanes extremadamente lentos está aquí – El diario andino
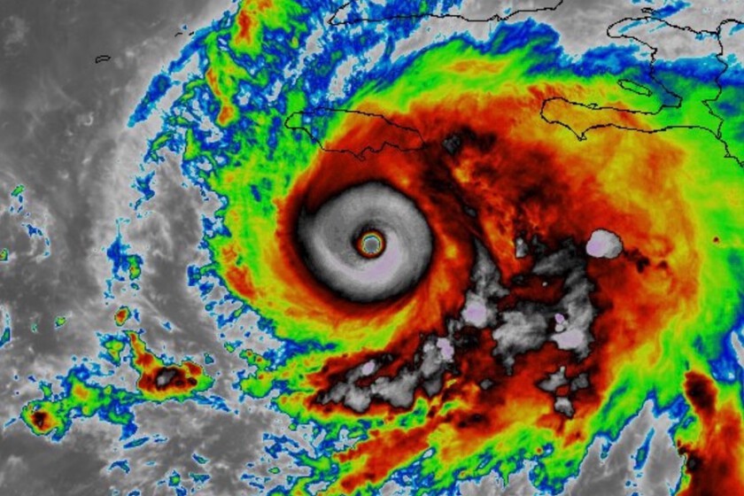
«Me quedo sin palabras ante lo escalofriantes que son estas imágenes». Con esas palabras, el meteorólogo detrás de Backpirch Weather describió lo que piensan todos los expertos viendo como Melissa alcanzaba los 233 km/h y 941 mbar. Es decir, ver en vivo y


