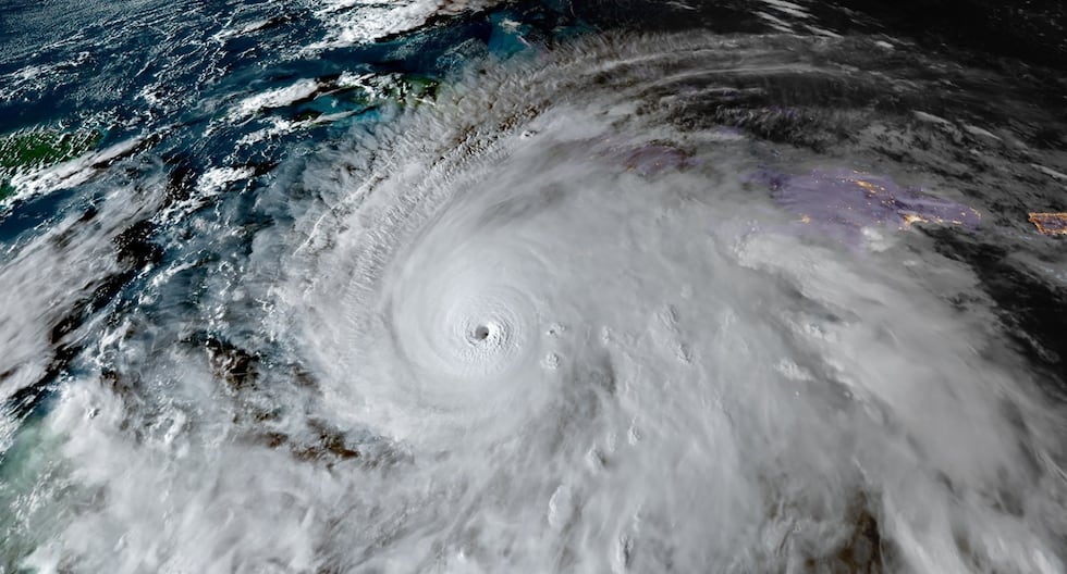
Ojo del huracán Melissa sale de Jamaica y se dirige hacia Cuba – El diario andino
el ojo de Huracán Melissa abandono Jamaica este martes por la tarde y ahora se dirige hacia Cubainformó el Centro Nacional de Huracanes (CNH) de EE.UU. “El ojo de Melissa deja el oeste de Jamaica hacia la costa norte«, indicó el CNH en


